Join Login
2578 Wildhorse, Minden, NV 89423 Photo
2578 Wildhorse, Minden, NV 89423 Photo
2578 Wildhorse, Minden, NV 89423 Photo
2578 Wildhorse, Minden, NV 89423 Photo

2 Total Photos [Click to View All]

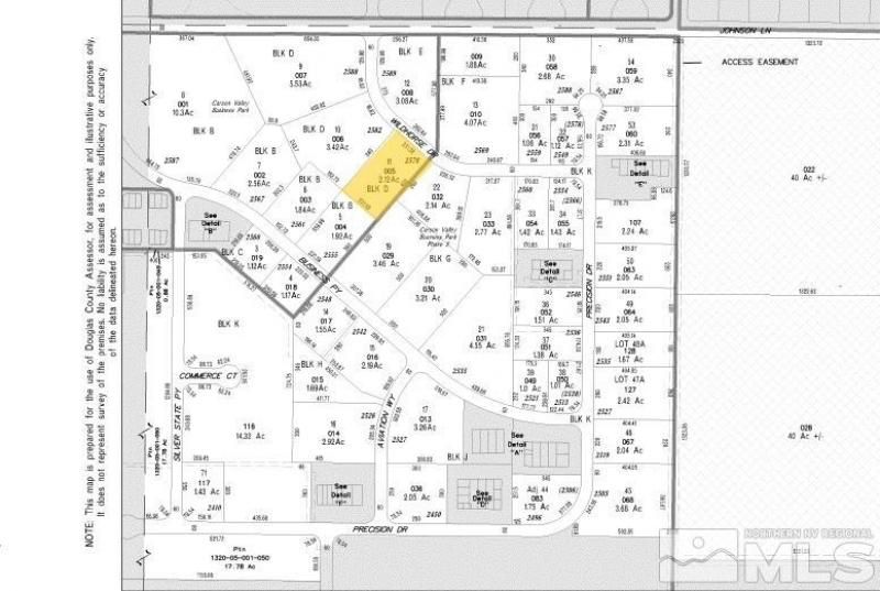
2578 Wildhorse
Minden, NV 89423
$459,000
| 2.12 Acreage

Prime 2.12 acres of Industrial zoned land. Located off Johnson Lane in Business Park. Property has Utilities , City Water / sewer, Phone / Cable at site.

Listed By / Presented By

Listed By

Agency Name: Coldwell Banker Select RE M
Agent Name: Denise Jorgensen-Feist
Agency Phone: 775-782-7111
Agent Phone: 775-781-7120

agent picture

Presented By

Agent Name: Marlene Pierce
Agent Phone: 530.545.8907
Agency Title: Chase International Real Estate

IDX logo

Property Details

Property Type: Land - Commercial
Lot Size: 2.12 Acres
Taxes: $1,151
MLS ID: 230000813

Feature Descriptions

City Limits: No
Days on Site: 1206
Lot Features: Curbs, Level, Open Lot, Corners Marked
Parcel #: 1320-04-001-005
Road Frontage: Public Access, Other
Road Surface: Paved
Sewer: Public Sewer
Special View Info: Mountain(s)
Utilities: Cable Available, Electricity Available, Natural Gas Available, Phone Available, Sewer Available, Water Available, Underground Utilities
Water: Public
Water Rights Y/N: No

Schools

High School: Douglas
Middle School: Carson Valley
Elementary School: Pinon Hills

Neighborhood Map

Driving Directions

Demographics

Estimate My Payments

  • Estimated Payment
    $1,251.33
  • Principal & Interest
    $1,021.54
  • Property Tax
    $95.92
  • Homeowner's Insurance
    $133.88
(Payments are an estimate and may vary by lender)

Mortgage Calculator

Change Payment Information

%
years/fixed
yearly
yearly (est.)
Contact Photo

We're Here to Help

Connect with our team of knowlegable local agents to guide your next move with style and grace.

Login to My Homefinder

Pixel